في قاع المحيط.. علماء يكتشفون "الأكسجين المظلم"
19:57 - 22 يوليو 2024
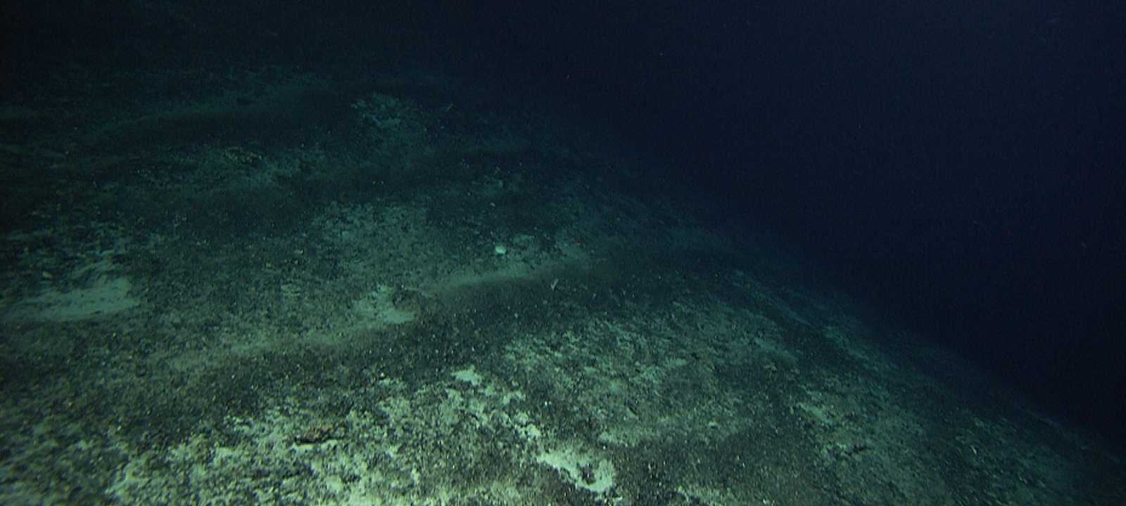
اكتشف فريق من الباحثين أن بعض المعادن الموجودة في قاع المحيط السحيق تنتج غاز الأكسجين، على عمق نحو 4 كيلومترات تحت سطح الماء.
ونقلت شبكة "سي إن إن" الإخبارية الأميركية عن البروفيسور أندرو سويتمان الأستاذ في الجمعية الاسكتلندية للعلوم البحرية رئيس مجموعة بيئة قاع البحر والكيمياء الحيوية، قوله إن البحث الجديد الذي أجراه رفقة عدد من الباحثين، أظهر دليلا على إنتاج "الأكسجين المظلم" في قاع البحر، على عمق نحو 4 آلاف متر.
وركز البحث على "العقيدات" (nodules)، التي تتألف من عدة معادن وتكون بحجم حبة البطاطا، ويصفها المتخصصون بـ"البطاريات الجيولوجية".
وحسب سويتمان فإن هذه العقيدات "هي الأساس المحتمل لإنتاج الأكسجين المظلم في قاع المحيطات من دون أي مساعدة من الكائنات الحية".
وهذه هي المرة الأولى التي يلاحظ فيها العلماء توليد الأكسجين من دون تدخل أي كائنات حية.
وسيكون لهذا الاكتشاف المثير آثار مهمة على الطريقة التي سيتطور بها التعدين في أعماق البحار في المستقبل، كما قد يقود إلى أجوبة مهمة فيما يتعلق ببدايات الحياة على الأرض.
ويقول خبراء إن التعدين في أعماق البحار يمكن أن يلحق ضررا لا رجعة فيه بالبيئة تحت الماء، كما قد يؤدي إلى تعطيل طريقة تخزين الكربون في المحيط، مما يساهم في أزمة المناخ.
صحة البحار من صحتنا

ونشرت الدراسة يوم الإثنين في مجلة "نيتشر جيوساينس" العلمية.
ورغم هذه الدراسة الجديدة، ما تزال هناك العديد من الأسئلة التي لم تتم الإجابة عليها حول كيفية إنتاج الأكسجين المظلم، وما الدور الذي يلعبه في النظام البيئي في أعماق البحار.




